2009
08
08

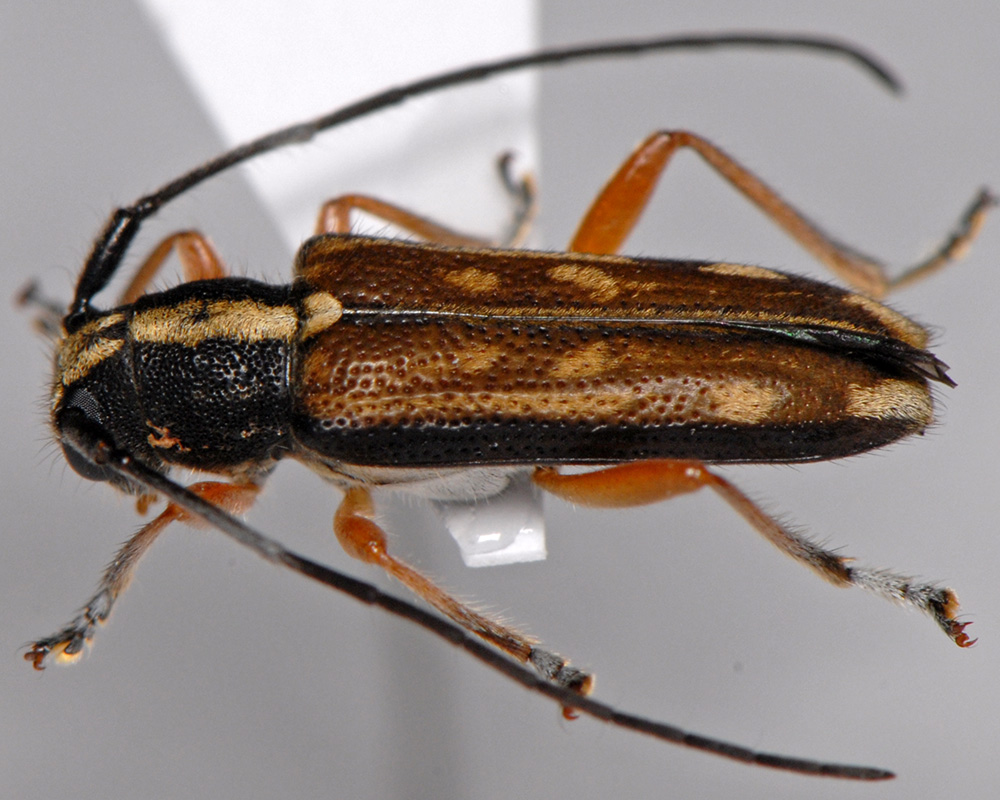
ニセシラホシカミキリ[写真帖]

ニセシラホシカミキリをご覧いただくページです。

2008年6月21日:茨城県
ニセシラホシカミキリ

まずは2008年6月茨城県産の標本です。
ニセシラホシカミキリ標本

2009/08/08 (Sat.) Trackback() Comment(0) カミキリムシ

Comments

名前
メールアドレス
URL
コメント
PASS  Vodafone絵文字 i-mode絵文字 Ezweb絵文字

Trackback

Trackback for this entry:

calendar

12 2026/01 02
S M T W T F S
1 2 3
4 5 6 7 8 9 10
11 12 13 14 15 16 17
18 19 20 21 22 23 24
25 26 27 28 29 30 31

search in this weblog

link

category

comments

[12/31 だんちょう]
[12/03 だんちょう]
[11/01 だんちょう]
[10/22 だんちょう]
[09/24 だんちょう]
[08/22 だんちょう]
[08/08 だんちょう]
[07/25 だんちょう]
[07/19 だんちょう]
[07/14 だんちょう]
[07/07 だんちょう]
[06/04 だんちょう]

recent articles

archive

profile

HN:
takao_bw
性別:
男性
職業:
former employee
趣味:
Photographing Japan

counter