2016
03
04
コゲチャサビカミキリ_16226a
コゲチャサビカミキリ_16226a
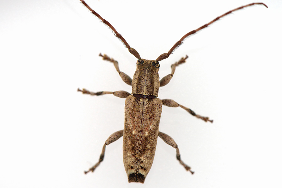
kogecha-Sabi-Kamikiri
A kind of long-horned beetle in Japan.
[Mimectatina meridiana ohirai Breuning et Villiers,1973]
カミキリムシ科フトカミキリ亜科アラゲカミキリ族コゲチャサビカミキリ属
いただきもののコゲチャサビカミキリです。
南方系で、関東圏では得難いカミキリムシです。
体長:7.0~12.5mm
食樹:クワ類、イチジク類(クワ科)
分布:本州(房総半島以西)、猿島、伊豆諸島、四国、九州、対馬、筑前沖の島、男女群島、甑(こしき)島列島、種子島、屋久島、口永良部島、吐噶喇列島、奄美大島、沖縄諸島、先島諸島
時期:3~10月
カミキリムシデータ出自:日本産カミキリムシ
露出プログラム: マニュアル
露出時間: 1/250
フラッシュ: フラッシュ発光、強制発光モード、リターン検出されず
F ナンバー: 16
レンズ焦点距離: 105
ISO スピードレート: 200
測光方式: 中央重点
ホワイトバランス: ホワイトバランス自動
レンズモデル: AF-S VR Micro-Nikkor 105mm f/2.8G IF-ED
画像入力機器のモデル名: NIKON D800E
2016/03/04 (Fri.) Comment(0) カミキリムシ
