2015
08
09
♪クロトラカミキリ_15805a
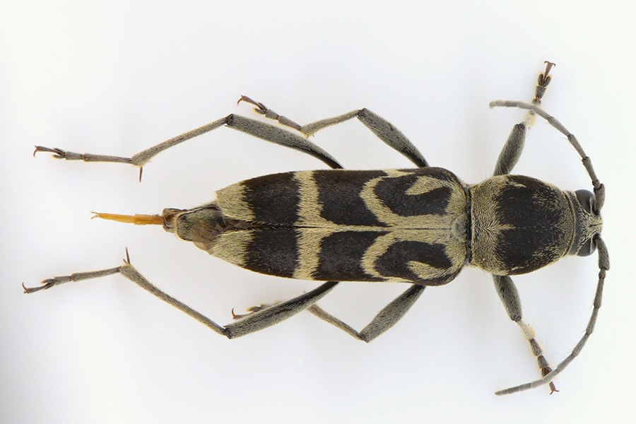
クロトラカミキリ_15805a
Kuro-Tora-Kamikiri
A kind of Japanese long-horned beetle 'Kuro-Tora-Kamikiri'.
[ Chlorophorus diadema inhirsutus Matsushita,1934 ]
カミキリムシ科カミキリ亜科トラカミキリ族クロトラカミキリ属
いただきもののクロトラカミキリ(室内撮影)です。
エグリトラカミキリに似ていますが、全体的に黒っぽい印象があります。
翅端外角は著しく突出せず、刺もなく、肩にある[J]の黒斑は肩紋と繋がります。
前胸背の黒斑は大きくひとつに繋がりますが、エグリトラカミキリでは3つに分かれ[小]の字のように見えます。
露出プログラム: マニュアル
露出時間: 1/160
フラッシュ: フラッシュ発光せず、強制発光モード
F ナンバー: 16
レンズ焦点距離: 105
35 mm 換算レンズ焦点距離: 126
ISO スピードレート: 800
測光方式: 分割測光
ホワイトバランス: ホワイトバランス自動
レンズモデル: AF-S VR Micro-Nikkor 105mm f/2.8G IF-ED
画像入力機器のモデル名: NIKON D800E
2015/08/09 (Sun.) Comment(0) カミキリムシ
